Mangroven säumen die von Lavafelsen umgebene und vor den Wellen des offenen Meeres geschützte Bucht mit dem weißen, feinen Sandstrand, der langsam in das türkis bis azurblaue Wasser übergeht. Beim Schnnorcheln taucht man ein in eine Unterwasserwelt verschiedener bunter Fische, Haie und Rochen. Neben mir im Sand sonnen sich Meeresechsen, die sich gerade für den täglichen Tauchgang aufheizen oder sich nach eben erfolgtem wieder aufwärmen.
Szenenwechsel– Es ist kurz vor Sonnenuntergang und ich sitze bei einem Cocktail (Happy Hour) auf der über dem Wasser gebauten Veranda eines Restaurants, zu dem ich mich mit dem Wassertaxi nach meinem Strandausflug habe übersetzen lassen. Der Blick streift über die Boote die hier im Hafen liegen und unter denen auch mein Katamaran ist. Nach rechts blickend schaue ich hinaus auf den Ozean. An den Felsen krabbeln die überall an der Wasserlinie zu findenden Roten Felsenkrabben, deren englischer Name, „Sally Lightfoot Crab“, mir besser gefällt. Unter mir im Wasser schwimmen zwei, sich wie kleine Kinder kabbelnde Seelöwen vorbei, die die im Wasser schwebende grüne Meeresschildkröte, die ruhig ihre Bahnen zieht, völlig ignorieren. Von all dem bekommen die Meeresechsen, die immer wieder auf einer Seite der Veranda auftauchen, quer über sie hinüberlaufen als gehörte ihnen das Lokal, um auf der anderen Seite der Terrasse wieder zu verschwinden, natürlich nichts mit.
Szenenwechsel– Auf dem Weg vom Flughafen Baltra nach Puerto Ayora, einer kleinen Hafenstadt und Touristenzentrum auf der Insel
Santa Cruz, warnen Schilder vor Wildwechsel. Genau genommen vor Schildkröten, die spontan die Straße queren können. Und tatsächlich sieht man immer mal wieder eine Riesenschildkröte am Straßenrand oder im ungünstigeren Fall auch mal mitten auf der Straße. Das Problem liegt nun darin, dass eine Riesenschildkröte sich nicht gerade mit großer Geschwindigkeit bewegt, sondern jeden Schritt wohlüberlegt und mit unglaublicher Langsamkeit setzt. Das widerum führt dazu, dass man, um weiterfahren zu können und um die Verkehrssicherheit wieder herzustellen, mit zwei Mann die Schildkröte wieder zurück an den Straßenrand wuchten muss. Dabei machen sich die Helfer allerdings strafbar, da das Anfassen von Tieren hier verboten ist und empfindlich geahndet wird.
So bin ich also gut auf den Galapagosinseln angekommen. Das Fahrrad und den größten Teil der Ausrüstung sicher in Quito untergestellt. Vor der Landung wurden in gut einstudierter Koreographie vom ersten Crewmitglied die Gepäckfächer geöffnet, das zweite Crewmitglied sprühte ein Insektizid in die Fächer, die vom dritten Steward gleich darauf wieder geschlossen wurden. Erst danach kam dann die beruhigende Durchsage, dass das Insektizid für Menschen unbedenklich sei. Am Flughafen selber wurde das Gepäck noch von einem Spürhund beschnüffelt, bevor man seine Koffer dann endlich in Empfang nehmen durfte. Es wird so gut wie möglich versucht, das Einschleppen von fremden Insekten und anderen Tieren, die die heimische Tierwelt bedrohen könnten, zu vermeiden. Denn für die einzigartige Tierwelt kommen ja schließlich die Touristen aus aller Welt und die lassen viel Geld auf den Inseln, deren Bevölkerung fast ausschließlich vom Tourismus lebt. Erwartet habe ich mir von den Inseln selber eigentlich nicht so viel. Entsprechend überrascht war ich dann bei meinem ersten Ausflug zum Strand „Tortuga Bay“, ca. 3 km Fußweg von Puerto Ayora entfernt, oben beschriebenen, wunderschönen Strand vorzufinden. Auch so viele Leguane hatte ich nicht erwartet zu sehen. Sie sind praktisch überall. Selbst auf dem Bürgersteig in Puerto Ayora sonnen sie sich. Bemerkenswert ist, wie gelassen die Tiere mit den vielen Touristen umgehen. Seelöwen beanspruchen die Bänke für sich, teilen aber auch mit Besuchern, die sich für ein Foto zu ihnen setzen oder einfach nur kurz ausruhen möchten.
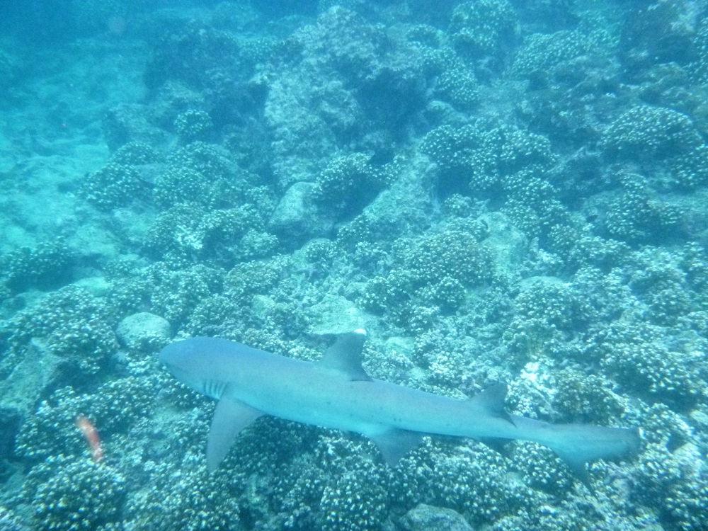
Am „Fischmarkt“, einem kleinen Stand, an dem die Fischer den Fang des Tages verkaufen, stehen Pelikane und Seelöwen, wie bettelnde Hunde bereit um ihren Anteil am Fang abzubekommen, wenn mal ein Stück Fischhaut oder ähnliches abfällt. Auch Fregattvögel hoffen auf einen Teil der Beute, bekriegen sich dann in der Luft aber gegenseitig und streiten sich, bis das mühsam ergatterte Stück hinunterfällt und im großen Kehlsack eines Pelikans für immer verloren geht. Die ersten fünf Tage habe ich also in Puerto Ayora verbracht, auf der Suche nach einer geeigneten Kreuzfahrt, mit der Erkundung der Umgebung und bei einem Ausflug in die Unterwasserwelt bei einem Tauchgang, bei dem ich, zu meiner Freude, unter anderem mit Hammerhaien, Galapagoshaien und Riffhaien schwimmen konnte. Am sechsten Tag ging es dann endlich aufs Schiff. Genauer gesagt auf meinen Katamaran, der für die nächsten acht Tage mein schwimmendes Hotel sein sollte. Und das war das Tollste, was ich bisher auf meiner Reise gemacht habe. Die meiste Zeit habe ich auf dem Sonnendeck zugebracht.
Auf bequemen Rattan Möbeln sitzend dem Schiff beim Fahren zugeschaut, bei günstigem Wind unter den großen Segeln und über mir die Fregattvögel, die dem Schiff immer wieder folgten und sich bei Sonnenuntergang gegen den, wie aus einem Gemälde wirkenden, leuchtenden Abendhimmel wie Scherenschnitte abzeichneten. Der Tagesablauf war immer gleich. Morgens um 7 Uhr Frühstück, 8 Uhr erste Exkursion, 10 Uhr – 10:30 Uhr Rückkehr, kurzer Snack, dann schnorcheln, 12 Uhr Mittagessen, 14 Uhr zweite Exkursion, im Anschluss schorcheln um sich dann wieder mit Snacks und frischem Saft zu stärken. 18 Uhr Briefing für den nächsten Tag mit kurzer Übersicht, was einen auf den nächsten Inseln erwartet. 18:30 Uhr Abendessen. 20 – 22 Uhr mein persönlicher Programmpunkt: Auf dem Sonnendeck sitzen, sich den Wind um die Nase wehen lassen, kuschelig in eine Decke gehüllt das Leben genießen, wärend die 10 anderen Mitreisenden noch beim Kartenspiel oder Fernsehen zusammensaßen und dann meist schon früh im Bett verschwanden. Den Tag so ausklingen zu lassen war einfach jedes Mal aufs Neue schön und auch eine gute Gelegenheit die vielen Eindrücke und Erlebnisse des Tages Revue passieren zu lassen. Die Ausflüge auf karge Vulkaninseln, die knuffigen Rotfußtölpel und Nazcatölpel, die direkt auf oder neben den Wegen nisten, die Pinguine und flugunfähigen Kormurane, die roten
Klippenkrabben an Traumstränden, die Flamingos in einsamen Lagunen und die Meeresechsen, die als einzige Echsen der Welt gerne Baden gehen um unter Wasser die Algen von den Steinen zu weiden. Die Landleguane und Riesenschildkröten, die aussehen wie aus der Zeit der Dinosaurier und die Seelöwen, die am Strand liegen und von einem keinerlei Notiz nehmen. Alles aus nächster Nähe. Beim Schnorcheln große Schulen bunter Fische, verschiedenste Rochen, darunter ein mit über drei Meter Spannweite beeindruckender Mantarochen, der im Wasser mit weit geöffnetem Schlund Loopings „flog“ um sich an den Unmengen von Krill satt zu fressen. Kleine Haie und jeden Tag Meeresschildkröten, die elegant und langsam durchs Wasser schweben. Die tolpatschigen Robben und flugunfähigen Kormurane, die unter Wasser beim Jagen plötzlich eine elegante und sportliche Figur abgaben und auch die Leguane waren im Wasser eindeutig gekonnt unterwegs. Besonderes Highlight auf dieser einmaligen Tour war der Abend, als kurz vor Sonnenuntergang unser Boot plötzlich von über hundert Delphinen umzingelt war unter denen sich auch ein Seehund befand, der freudig mit den Delphinen schwamm und wie diese immer wieder aus dem Wasser schoss. Über 40 Minuten wurden wir so begleitet und man wusste gar nicht, wo man eigentlich hinschauen sollte, so viele Delphine sprangen überall aus dem Wasser. Was für ein Traum. Ein Paradies. Oder einfach nur das Leben, wie es sein sollte? Mit diesen Eindrücken verabschiedete ich mich dann auch vom Sonnendeck, wünschte dem Kapitän, der das Boot über Nacht zur nächsten Insel steuerte,eine gute Nacht und begab mich in meine Kabine, die wie immer vom Steward, während wir auf unserer ersten Tagesexcursion waren, schön aufgeräumt worden war, die Handtücher jeden Tag zu einer anderen Figur drapiert, das Bett frisch gemacht. Vom Wellengang sanft bis derb in den Schlaf geschaukelt. Mit der freudigen Erwartung einschlafend, am nächsten Morgen beim Öffnen meiner kleinen Dachluke einen neuen Ort zu erblicken.
Die letzten drei Tage, nach meiner Kreuzfahrt, verbrachte ich auf der verschlafenen Insel Isabela. Die Straßen des kleinen Ortes sind nicht getert und man hat das Gefühl, die Einwohner sind noch etwas überrascht, dass sich auch hier immer wieder eine kleine, überschaubare Zahl an Touristen herverirrt. An dem ewig langen Sandstrand, in den kleinen Restaurants am Strand mit Meerblick und bei einem kurzen Ausflug zur „Wall of Tears“, einer von Häftlingen zwischen 1946 – 1959 gebauten Mauer etwa 8 km westlich des Dorfes mit gutem Überblick über die Insel, wenn man die am Wegesrand gelegenen Aussichtspunkte erklamm, ließ ich meine Ferien auf den Galapagosinseln ausklingen.
Es gab für mich sonst nichts mehr zu tun. Ein kurzer Besuch in einer Touragentur verschaffte mir die Gewissheit, schon alles gesehen zu haben. Einzig die Blaufußtölpel mit ihren schlumpfblauen Füßen, den seltenen Albatros und die Fregattvögel mit ihren roten, groß aufgeblasenen Kehlsäcken habe ich leider nicht ganz auf Streicheldistanz ablichten können. Trotzdem zufrieden mit meiner Ausbeute an Tiersichtungen (alle bekannten und wichtigen Tiere der Galapagos Inseln habe ich gesehen und abgelichtet) ging es per Speedboot am Vorabend meines Heimflugs ein letztes Mal zurück nach Santa Cruz, wo ich einen Schweizer Bekannten von meiner Kreuzfahrt auf eine Pizza und ein paar Cocktails wiedertraf und wo ich in einer Bar sogar noch eine Stunde an einem gratis Salsaunterricht teilnehmen konnte.
Galapagos war eine schöne Erfahrung und ein toller Urlaub vom Radfahren. Besonders wie nah man den Tieren kommt, die keinerlei Scheu vor den Menschen haben und mit ihnen in einem friedlichen Miteinander oder zumindest Nebeneinander leben, hat mich nachhaltig beeindruckt und mir gut gefallen. Wenn man schonmal in der Gegend ist, kann man sich das durchaus mal anschauen. Für alle, die gerade nicht in der Gegend sind, gibt es im Anhang 188 Fotos, Schnappschüsse und Erinnerungsknipsereien von den Galapagosinseln. Wie immer: Viel Spaß damit!
Für mich geht es jetzt weiter, über den Äquator, auf meine letzte Etappe in Südamerika, durch Kolumbien bis zur Karibikküste. Der nächste Eintrag wird also wahrscheinlich auch wieder so ca. 4 Wochen auf sich warten lassen.
Bis dahin…
Der absolute Wahnsinn! Da gibt es ja wohl kaum noch eine Steigerung! Unfassbar! Paradies pur!
Oh my god! You’re photos are beautiful! Amazing compositions! What is your camera again? I want one!
It looks like it was definitely worth going on the boat. You saw much more than we did! But where are the Jacuzzi pictures?
Are you in Colombia yet? If you want to bike 2600m uphill to Bogota me or Shan would put you up 🙂 If not, check out Salento and El Valle de Cocora if you can! It’s beautiful.